研究论文

基于SNA的新型集中社区公共空间网络结构优化

  • 邹晴晴 1 ,
  • 王勇 , 1, * ,
  • 李广斌 2
展开
  • 1. 苏州科技大学建筑与城市规划学院,江苏 苏州 215011
  • 2. 苏州科技大学地理与资源学系,江苏 苏州 215011
通讯作者:王勇(1974-),女,河南驻马店人,教授,博士,从事城乡发展与空间转型等方面研究,E-mail:

作者简介:邹晴晴(1990-),女,河南周口人,硕士生,从事城乡规划理论与设计研究,E-mail:

网络出版日期: 2016-07-20

基金资助

基金项目:国家自然科学基金项目(51278319,51578352);江苏省高校哲学社会科学研究项目(2014SJB567);江苏省普通高校研究生科研创新计划项目(KYLX15_1306)

Network structure optimization of public space in new concentrated communities based on SNA

  • ZOU Qingqing 1 ,
  • WANG Yong , 1, * ,
  • LI Guangbin 2
Expand
  • 1. School of Architecture and Urban Planning, Suzhou University of Science and Technology, Suzhou 215011,Jiangsu, China
  • 2. School of Geography and Resources, Suzhou University of Science and Technology, Suzhou 215011, Jiangsu, China

Online published: 2016-07-20

Supported by

Foundation: National Natural Science Foundation of China, No.51278319, No.51578352; Philosophical and Social Science Foundation of Jiangsu Province, No.2014SJB567; The Graduate Students’ Scientific Research Innovation Project of Education Department of Jiangsu Province, No.KYLX15_1306

Copyright

《地理科学进展》杂志@版权所有

摘要

公共空间并非“存在即合理”。公共空间网络结构效率折射出社会网络的重构能力、社会资本的建构强度、社会秩序的重塑能力。新型集中社区作为近年大量涌现的新型居住形态,正面临社会关系重构的巨大压力。本文运用社会学的网络分析法研究公共空间网络,并对苏州新型集中社区D的公共空间网络结构进行实证分析,其结论为:公共空间网络的关联度为0.216、中心势0.358、小世界值1.978,表明空间网络整体关联度不足,呈现出破碎化的特征;商业空间整合效应的发挥受到业态配置的影响;居民社会属性对空间网络结构特征造成一定影响。最后,基于“社会—空间”互动逻辑,以社会网络重构为导向,从集中安置模式、公共空间网络优化2个层面,提出新型集中社区有待进一步研究的方向,以期为当前及未来的集中社区规划建设和公共空间整体优化提供科学合理的依据。

本文引用格式

邹晴晴 , 王勇 , 李广斌 . 基于SNA的新型集中社区公共空间网络结构优化[J]. 地理科学进展, 2016 , 35(7) : 829 -838 . DOI: 10.18306/dlkxjz.2016.07.004

Abstract

The efficiency of public space network structure reflects the ability of communities to reconstruct their social network, to accumulate social capital, and to rebuild social order. In recent years, as a new form of living and emerging in large numbers, new concentrated communities are facing enormous pressure in reconstructing social relations. Using Social Network Analysis, this study found that: the public space network correlation degree is 0.216, central potential is 0.358, and small world business value is 1.978. These show that the overall association degree of the spatial network is insufficient and the network is fragmented; the integration effect of commercial space is affected by the configuration of businesses; and the social attributes of residents influence the characteristics of the spatial network structure. Finally, with regard to concentrated resettlement model and pubic space network optimization, the author puts forward the direction of further research of new concentrated communities, in order to provide a scientific basis for the current and future planning and development and overall optimization of public space of concentrated communities.

1 引言

近10年来,地方政府主导的新型集中社区建设快速推动苏南空间的全面转型(王勇等, 2011)。根据苏州市农委的调查数据,截至2014年底,大规模新型集中社区建设已推动52.6%的农民实现集中居住。在昆山市,农民集中居住率甚至高达70%。在此过程中,许多传统村落被“连根拔起”。从“散居”到“集居”,不仅意味着村落的终结和传统邻里社会关系全面解构,还意味着新型集中社区在取代原行政村后,成为社会治理的最基本单元。如何实现社会关系重建,是当前及今后大规模新型集中社区建设的重要议题。在此背景下,规划学界普遍认为,被誉为社会关系“触发器”的公共空间是社会网络重建、社会秩序生成的重要力量,蕴含着诸多社会功能:如强化社区认同,提高公民幸福度(Francis et al, 2012);促进合作、提升社会资本(Clark et al, 2009);社会关系整合(卢璐等, 2012; 李晴, 2014)。公共空间内在的公共交往是齐美尔(Georg Simmel)“社会秩序如何生成”命题的重要“解”(侯均生, 2006)。
①社会资本是一种嵌入于个体行动者社会网络中的资源,它不仅能够帮助行动者获得更多更好的外部资源,而且对农民进入城市生活后的健康水平和幸福感起着积极作用。
在西方,“公共空间”一词出现较晚(陈竹等, 2009)。21世纪以来,西方国家的城乡规划学、人文地理学聚焦于城市公共空间私有化转型(Németh et al, 2011; Bonilla et al, 2012; Ling et al, 2014)、公共空间质量测度模型及其量化(Pasaogullari et al, 2004; Varna et al, 2010; Németh et al, 2011)等研究。在中国,公共空间研究多聚焦于公共空间社会功能(杨保军, 2006; 托内拉, 2009)、特征与类型划分(段进等, 2002; 梅策迎, 2008)、转型及其机制(孙施文, 2007; 王勇等, 2014)等定性描述。针对新型集中社区公共空间的研究较少,且集中在空间布局形态(白皓文等, 2014)、服务设施配置(李心, 2015)等方面。美国著名网络科学家瓦茨(2011)认为:“基于结构、关系为核心的网络视角研究空间布局,更能从本质上揭示空间的规律”。虽然随着空间网络分析技术地位的日益凸显,部分学者通过空间句法、GIS网络等分析法对城市公共空间开展定量研究(李平华等, 2005; 江海燕等, 2010; 苟爱萍等, 2011)。但空间句法是将测量地图进行模块化分解,并不适合人为组织的相对封闭的居住社区空间(肖扬等, 2014);GIS网络分析法虽可以对宏观、中观尺度的公共空间布局的经济效率进行测度,但难以度量微观尺度下的人与空间互动。相比之下,社会网络分析法(Social Network Analysis, SNA)不仅适合于分析封闭的、界线分明的区域(斯科特, 2007),其对空间社会属性的关注,还适于分析新型集中社区的公共空间网络。鉴于此,本文从社会空间的角度,运用SNA,通过对居民行为的调查,获取“人—空间”互动关系数据,进而对苏南新型集中社区公共空间网络结构进行量化分析,不仅弥补了现阶段集中社区公共空间量化研究不足的缺陷,而且可为该类社区公共空间优化提供规划决策参考。

2 SNA:公共空间网络研究的新范式

SNA是对复杂社会关系进行精确量化分析的一种社会学研究方法,为复杂关系网络理论构建和实证命题检验提供了量化分析的工具(斯科特, 2007)。它作为社会网络理论的核心内容,凭借精确量化方法和形式化表达的独特优势,自1930年代兴起以来,经过短短半个世纪的发展,于1990年代已形成较为完备的理论体系,占据着欧美地区,特别是美国社会学的主流地位,并被认为是未来最具影响力的三大学派之一。目前,SNA主要的研究成果有:霍桑(Hawthorne)用“社群图”表达了网络结构和凝聚子群等(引自斯科特, 2007)。沃纳(Warner)通过用稳定性、凝聚性、整合性等,对社会网络动力进行了量化研究(引自斯科特, 2007)。米切尔(Mitchell)用大量概念分析社会关系网络的效率,即互惠性(reciprocity)、紧密型(intensity)、持续性(durability)、可达性(reachability)等(引自斯科特, 2007)。随着社会网络分析理论、方法和技术日益深入,管理学、经济学等纷纷将其引入到本学科研究之中,并取得了较为显著的研究成果。近年来,地理学和城乡规划学也逐渐认识到空间网络的结构对其特征和功能起到不可忽视的作用(黎勇等, 2010),SNA作为分析复杂网络行之有效的方法,得到广泛的应用。现阶段空间网络的研究多聚焦在宏观和中观层面,例如,城市群空间结构(甄峰等, 2012)、经济一体化(侯赟慧等, 2009)、旅游空间网络(陈秀琼等, 2006)、街道空间网络(Jiang et al, 2004)、城市绿地空间(Jia et al, 2015)等,较少涉及微观层面的社区公共空间。且由于空间句法和GIS网络分析的局限性,SNA用于分析新型集中社区的公共空间网络具有很大的优势。
社区交往发生的公共领域应包含物质和社会发展2个层面,包括社区开放空间、文化空间和社会空间3个方面,这些公共空间是社区中的居民互动与交往的载体和媒介,也是住区整合的根本要素(李晴, 2011)。据此认为,社区公共空间网络的内涵是公共开放空间、社区文化和社区组织3个方面相互交织构成的社区公共领域,以及发生在其中住区居民间的交往与互动关系(图1)。SNA下的社区公共空间网络分析是将公共空间作为节点,节点之间到达的路径作为线,通过调查居民交往行为的规律,以及社会组织的活动,用密度、中心度、小世界值,量化分析社区公共空间使用特征和网络特征,以期为当前及今后新型集中社区的公共空间结构优化提供科学依据。
Fig.1 Network structure of community public space

图1 社区公共空间网络系统构成

3 研究设计与数据处理

3.1 研究对象选取

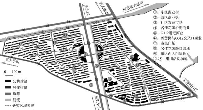
社会网络分析法的公共空间网络研究,要求对象范围界限分明,且具有较高识别度。D社区位于苏州浒墅关经济开发区,是江苏省最大动迁安置的新型集中社区,采取大范围跨行政村、“抓阄”的随机选房模式,原有社会网络结构变迁剧烈。因此,以D社区为对象极具研究价值和实践意义。D社区于2001年分期建设,是由6个小型社区和1个商住小区组成的混合式社区,其安置农民来自浒关镇运河、四明、共和等16个行政村,截至2010年完成动迁安置。社区共占地1.35 km2,含多层住宅440幢,居住人口共30560人,由东、西片区组成,分属4个社区居委会。社区内已建成购物中心、农贸市场、市民广场等服务配套设施。基于公共空间位置、功能等特征,经过调研对部分分散公共空间进行整合,选取识别度较高、居民日常使用较为频繁的空间,最终确定18个公共空间节点(图2)。
Fig.2 Spatial extent and public space nodes of Community D

图2 D社区范围和公共空间节点

3.2 研究数据获取

首先,设计调查问卷,建立评价数据库。问卷设计主要包括居民基本情况,前往公共空间的类型、路径、停留时间、满意程度等项目。其中,节点流向以图示方式,让居民先选出到达的公共空间,并用箭头表示其到公共空间经过的主要节点和路径。
其次,于2015年10月、2016年4月,选择工作日、休息日2个时间段,在D社区的6个小区和1个商住小区的核心区域,以访谈和问卷为主的方式对社区公共空间和社会网络特征资料进行问卷调查。采取每栋各抽取一户的抽样方法,对7个小区的居民开展问卷调查和访谈,共发放调查问卷440份,获得有效问卷378份,有效率为85.9%。其中,样本以本地居民、低收入者为主,文化程度普遍不高,从事职业的层次较低(表1)。
Tab.1 Basic information of the samples

表1 样本基本特征

样本属性 数量/份 所占比例/% 样本属性 数量/份 所占比例/%
性别 家庭人均月收入/元
169 44.8 ≤1500 107 28.3
209 55.2 1501~2500 163 43.2
年龄 2501~3500 84 22.1
18岁以下 11 12.9 ≥3501 24 6.4
18~30岁 72 19.0 职业
31~45岁 118 31.3 待业 32 8.5
46~60岁 121 21.9 产业工人 119 31.4
61岁以上 56 14.9 商业服务人员 41 10.8
文化程度 个体工商户 38 10.1
初中及以下 184 48.8 行政人员 31 8.2
高中 118 31.2 专业技术人员 54 14.3
专科 50 13.1 专业管理人员 34 9.0
本科以上 26 6.9 私营企业主 26 7.7
家庭规模 入住年数
2人及以下 68 18.0 1~2年 42 11.2
3~4人 150 39.6 2~4年 65 17.1
5~6人 128 33.9 4~6年 114 30.1
6人以上 32 8.5 6年以上 157 41.6
最后,利用SPSS 17.0可靠性分析功能考察问卷的可信度,在剔除会降低量表整体可靠性的评估项(文化程度、职业等)后,最终得到一个由5项居民基本情况和10项日常公共交往活动组成的测量变量。通过对有效问卷数据进行α信度系数(Cronbach’s α)评价发现:15个项目α系数为0.747,高于较好信度0.700的标准,说明调查数据具有较高的可信性和稳定性。运用SNA分析软件UCINET 6.0及NETDRAW,绘制公共空间节点流向图(图3)。
Fig.3 Flows between the nodes of Community D public space

图3 D社区公共空间网络节点流向图

3.3 研究数据处理

根据网络结构的组成要素,确定公共空间网络结构量化指标。用UCINET 6.0进行计算,得出公共空间网络整体特征参数值(表2)。
Tab.2 Indicators and overall characteristic parameters of public space network structure

表2 公共空间网络结构量化指标及整体特征参数值

空间量化指标 特征参数 参数值 解释
空间关联度 密度 0.216 区域范围内所有直接联系的公共空间数量
空间整合度 中心势 - 中心度高的空间起到重要的“中介”作用,是通往其他空间的“要道”
点的平均中心势 4.698 反映空间节点之间控制度的重要指标
图的中心势 0.358 衡量整个网络的联系紧密程度的重要指标
空间连通性 小世界值 1.978 平均路径长度和聚类系数的比值。值越大表示小世界特征越明显,衡量网络的连通性
聚类系数 0.562 各个点密度系数的均值
平均路径长度 1.948 连接任何两点之间最短途径的平均长度

3.3.1 密度

与某个特定公共空间节点相邻的其他点成为该点的“领域”(neighborhood),领域中的总点数称为“密度”(degree of connection),是对节点领域关联性的一种数值测度。公共空间网络中的连接度是空间节点的数量,若社区内有K个公共空间,最大可能数值为:[K×(K-1)]/2 (刘军, 2014),值越趋近于最大可能值,网络的关联度越高。
3.3.2 中间中心势
中间中心势是度量某节点处于空间网络中心位置的程度(刘军, 2014),反映了整个空间中心化的程度,是测度网络总体整合度或一致性的重要指标。它可分为点、图中间中心势,点的中间中心势值越大,对其他点的控制度越高。公共空间节点的中间中心势( C RBi )公式为:
C RBi = 2 C ABi n 2 - 3 n + 2 , C ABi = j n k n b jk ( i ) j k i , b jk = g jk ( i ) g jk (1)
式中: C ABi 是点i相应于图中全部点对的中间中心度之和,即为绝对中间中心势; C RBi 是相对中间中心势;n是网络中全部点的数量; g jk 是点j和点k之间存在的捷径条数; g jk ( i ) 是点j和点k之间存在的经过第三点i的捷径数目; b jk ( i ) 是第三点i能够控制点jk交往的能力。
图的中间中心势是衡量整个网络联系紧密程度的重要指标。公共空间网络的中间中心势( C B )公式如下:
C B = i = 1 n ( C ABmax - C ABi ) n 3 - 4 n 2 + 5 n - 2 = i = 1 n ( C RBmax - C RBi ) n - 1 (2)
式中: C ABmax 是规模为n的图中点的绝对中间中心度最大值; C RBmax 是其对应点的相对中间中心度。
3.3.3 小世界值
小世界值是衡量网络连通性和整体性的重要指标。实际的社会、生态等网络都是小世界特征明显的网络结构,具有这种特征的网络连通性较高,信息传递速度快,且可通过改变少量的几个连接节点,就能显著地提高性能和效率,对现有网络进行调整优化。小世界值越大,表示小世界特征越明显,网络的整体性和连通性越强。具体公式如下:
C actual / L actual C random / L random > 1 (3)
式中: C actual 为实际网络的聚类系数; L actual 为实际网络的平均路径长度; C random 为虚拟随机网络的聚类系数; L random 为虚拟随机网络的平均路径长度。

4 结果与分析

4.1 社区公共空间网络结构的总体特征

4.1.1 空间网络的整体关联度
计算结果显示:D社区公共空间网络密度为0.216(表2),而对于一个拥有18节点空间网络而言最大发生联系次数是153,而该社区实际次数仅为77次,说明D社区公共空间网络的密度较低。在对D社区的调研中,居民普遍反映,“老邻居由于住的太远,平时很少联系”,有86%称“几乎不去其他区闲聊,邻里关系疏远很多”。这说明社区居民之间跨越小区范围的交往频率较低、公共空间网络关联度较低。这与空间网络关联度只有0.216的计算结果相符合。导致这一现象的原因有以下2点:一是“抓阄”的选房模式。D社区的一区在2001年建设分房时,采取“自由选房”的政策,安置农民往往“结伴选房”。因此,在一区75份调查问卷中,80%的本地居民认为“原来邻居还住在一起,邻里关系没有变化”,大部分邻里来自于一个自然村,甚至一个小组。但是,其他五区均采取“抓阄”的选房政策,农民被随机打乱分布在五区中,致使只有40%的人认为“邻里关系没有变化”。二是缺少居民参与度高的文化空间。文化空间产生的文化活动是整合人际关系的凝固剂,社区关系网络的重构离不开文化空间建设(叶继红, 2012)。调研发现,当被问到“是否参加社区举办的文化活动”时,一群居民义愤填膺地说,“我们小区没有文化活动场地,仅有的室内文化活动室也每天都关着门,基本上也没有文化活动”。由于社区缺乏居民真正广泛参与的文化场地,大大削弱了各区居民之间交往的可能性。
4.1.2 商业空间的整合效应
经过计算,D社区公共空间网络中图的中间中心势为35.8%(表2),相比于星形网络100%的中心势,其值明显偏低,说明该社区空间网络在较低程度上向中心集中,总体上网络整合度及资源集聚(交往活动)程度较低。调研发现,与其他空间类型每周1~2次的使用率相比,商业空间节点1-6则在3次左右,节点1、5甚至高达5~7次,商业空间有很强的人气吸引力。同样,网络节点结构洞参数值表明,商业空间具有较高的中间中心度和中间人指数(表3),控制着其他节点之间的联系,是整合空间网络的核心场所,具有明显的“结构洞”特征。这表示商业活动作为一类异质性极强的公共活动,能为社会网络提供有效的“中介”,弥合各种小圈子或团体的不足(何正强等, 2014),不仅能促进整个社区不同人群的公共交流和信息传递,扩展“弱关系”,而且是整合社区的重要力量。因此在新型集中社区规划中,应合理利用商业空间的整合作用。
Tab.3 The structural hole parameters of the public space nodes of Community D

表3 D社区公共空间网络节点结构洞参数值

节点编号 1 2 3 4 5 6 7 8 9 10 11 12 13 14 15 16 17 18
中间中心度* 18.5 6.8 7.5 6.3 9.1 3.4 1.1 1.1 0.5 0.4 0.0 0.0 0.0 0.2 0.0 0.0 0.0 0.0
中间人指数** 52.5 2.0 9.5 1.0 9.0 2.0 5.0 3.0 1.5 1.0 0.0 0.0 0.0 1.5 0.0 0.0 0.0 2.0
注:*中间中心度(beweennness centrality)是弗里曼(Morgan Freeman)用来测度结构洞的重要指标,可表示空间节点对网络的控制程度;**中间人指数(honest broker index)又称诚实中间人指数,指每个空间节点在网络中成为中间人的次数,可用来衡量结构洞的效率(刘军, 2014)。
同时从表3可知,6个商业空间的结构洞参数值具有很大的差异性。其中,空间节点1的中间中心度和中间人指数均较高,节点2、4、6的两项参数值较低。正如在调研中的居民所说的,“我们很少去那些饭店和俱乐部,经常去的就是附近的菜市场、购物中心”。由此可见,业态与居民日常生活的相关性和距离远近均是影响商业空间使用率的重要因素(表4)。因此,社区商业服务设施,不仅要选择在交通便利、接近服务人群核心的区位,更要注重商业空间功能的复合化和业态的日常化。
Tab.4 Business and service facilities in Community D

表4 D社区商业服务业设施设置情况

节点编号 空间区位 商业业态 与居民日常生活的相关性
1 穿过的城市主干道、东区主入口 ①服饰卖场、蛋糕店、药店等;②饭店;③菜市场;④工商银行、培训机构、旅馆 最高
2 穿过的城市主干道、西区主入口 ①五金店、药店;②饭店;③俱乐部、网吧等;④旅馆 较低
3 二区主要道路 ①小卖部、商铺等;②美发店 一般
4 社区外围的城市道路 ①饭店;②旅馆 较低
5 西区主要道路的中部 ①购物中心、药店等;②饭店;③菜市场;④劳务服务一条街、浴场 较高
6 社区外围的城市道路 ①购物中心;②饭店;③宾馆 最低

4.1.3 空间网络的整体连通性

根据计算结果,D社区公共空间网络数据的小世界值为1.978(表2),小世界特征并不明显,说明社区空间网络的连通性并不高,结构呈现出松散、破碎的状态。这表明近年来新型集中社区建设使传统具有强烈的群体规范和团结意识的邻里乡村,逐步演变成碎片化、松散化、多元化的“个人社区”。“个人社区”弱化了社区内部彼此之间的认同,共识性降低。因此需要较高连通性的公共空间结构,提高空间网络“性能”,弥补“个人社区”弊端。公共空间较好的网络结构应该是“闭合—开放”式:组团内部具有较强凝聚力,组团之间具有较高开放性(李林艳, 2004)。闭合性结构的效应与“强关系”对应,而开放性结构的效应与“弱关系”对应。前者是影响邻里认同、社区凝聚力的重要因素;而后者有利于信息的畅通,促进不同群体、族群之间的沟通和交流,是包容性、开放性精神的源泉。

4.2 社区公共空间网络结构的差异特征

以空间网络密度、中心势、小世界值为待检测变量,剔除本身无量化意义的性别、职业两项居民特征,运用SPSS 17.0的Pearson相关性分析检测5项居民基本属性等与检测变量之间的关联性。结果显示:居民年龄、入住年份、文化程度、家庭收入与公共空间网络结构具有显著的相关性,而家庭规模与其无相关性(表5)。
Tab.5 Correlation analysis of network structure of public space and sample characteristics in Community D

表5 D社区公共空间网络结构与样本特征相关性分析

基本属性 项目 空间关联度(密度) 空间整合度(中心势) 空间连通性(小世界值)
居民年龄 相关系数 0.66 0.71 0.63
P 0.52 0.54 0.33
入住年份 相关系数 0.61 0.77 0.22
P 0.05 0.03 0.01
文化程度 相关系数 -0.79 -0.62 0.19
P 0.03 0.02 0.43
家庭收入 相关系数 -0.69 -0.45 -0.80
P 0.04 0.62 0.01
家庭规模 相关系数 0.31 0.40 0.28
P 0.35 0.86 0.65
表5得出两点结论:一是居民入住年份与空间关联度、整合度呈现出显著的正相关性,且这种相关性较为可靠(P≤0.05),即居民入住时间越长,公共交往活动强度越高,公共空间上发生的交往行为越频繁,从而使得空间网络关联度、整合度越高;二是居民文化程度与关联度、整合度呈现出显著且可靠的负相关性;且居民的家庭收入与关联度、连通性呈现出显著又可靠的负相关性。表示居民的文化程度越高、经济条件越好,他们的交往活动以及工作通勤距离越远,就越有机会享受到城市核心区优质的配套设施。在集中社区配套设施欠缺时,就会导致他们的公共休闲活动和交往行为具有明显的外部性,而发生在社区内部的公共活动频率就会降低,因此公共空间的关联度或整合度也就越低。

5 结论与讨论

5.1 结论

在新型城镇化、农地集约化和提升农村人居环境等多重目标下,新型集中社区建设仍将持续很长时间。本文以近10年来苏南新型集中社区建设的一个典型样本——D社区为例,通过对调研获得的378份有效问卷进行分析,主要结论如下:
(1) 新型集中社区公共空间网络结构呈现出破碎化的特征。计算显示,密度、图的中间中心势、小世界值分别为0.216、35.8%、1.978,表明集中社区公共空间网络整体的关联度、整合度、连通性均处于较低水平,具有显著的破碎化特征。公共空间网络结构是映射居民社会交往活动的一面“镜子”。新型集中社区破碎化的公共空间网络结构,说明农民的集中居住确实带来了传统社会关系的瓦解,交往活动呈现出松散化的趋势。
(2) 商业空间服务设施的配置影响着其整合效应的发挥。商业空间作为异质性较强的公共空间类型,空间的整合效应十分突出,是不同群体、族群之间沟通和交流的重要场地。商业空间功能的复合化和业态的日常化是影响商业空间整合效应的重要因素。商业业态或地理区位若脱离居民的日常生活,其整合作用会大大降低。
(3) 居民的不同社会属性影响着公共空间网络的结构特征。通过居民年龄、入住年份、文化程度、家庭收入、家庭规模等居民基本属性与公共空间网络结构的相关性分析,发现居民的家庭规模与公共空间网络结构无相关性;入住年份与关联度、整合度呈现出显著且可靠的正相关性;文化程度与关联度、整合度,家庭收入与关联度、连通性均呈现出显著且可靠的负相关性。尽管居民年龄与空间关联度和整合度有显著的正相关性,但这种相关性并不可靠。

5.2 讨论

基于“社会—空间”互动逻辑,将SNA应用到新型集中社区公共空间网络结构的研究,以居民日常交往活动规律为依据,直观地表现出社区空间形态的整体性、连通性等,具有一定的合理性和实用性。它不仅拓宽了SNA的应用领域,而且为集中社区公共空间研究提供了全新视角,还弥补了传统建筑学和城乡规划学仅从尺度、功能分区、构图等方面孤立地研究空间的缺陷。在此背景下,当前及未来新型集中社区可从以下2个方面进一步思考:
(1) 不同的集中安置模式影响着原有社会关系解体的程度以及社会资本重构的难度。今后跨行政村的集中社区适合采用“大杂居、小聚居”的安置模式,即在集中居住区以原自然村的小组为单元,不同自然村的小组实行混合居住,利于形成内部同质、外部异质的混合聚居区。这不仅有助于降低社区原有社会关系的解体,还能防止组团之间的社会隔离,促进社区整体社会资本的形成和发展,但是此种安置模式实施管理上的可行性有待深入研究。
(2) 公共空间网络结构优化是新型集中安置社区摆脱社会关系重构困境的重要切入点。新型集中社区建设使农民被迫卷入“政府行政强制,非个人自愿”的城镇化浪潮。这决定了其社会网络发挥作用的特殊性,而公共空间网络结构是基于居民日常交往规律,其改造优化可有效地推动集中社区社会网络重构和社会秩序重建。基于上述分析,新型集中社区公共空间网络结构的优化措施包括:一是加强日常商业设施的配置。商业设施,除遵循居住区规划设计原理外,还应按照等级配置餐饮、零售、服务、文化等种类,更应关注设施与居民日常生活的密切相关性,选择高频率使用的业态种类,并配置在交通便利快捷的位置。二是建设富有活力的文化空间。居民参与社区文化建设能够形成人与人之间的互惠和信任关系,有利于改善邻里关系、积累社会资本。为充分利用商业的整合效应,集中居住区应结合商业,建设居民广泛参与、富有活力的文化空间,推动社区文化活动的开展,促进社区人际交往。但新型集中社区社会网络的重构是一个复杂的系统工程,虽然通过网络化的物质空间改善在一定程度上能有效重组社会关系,但更需要的是社区治理模式的嬗变。
此外,SNA适合于分析封闭的区域,若研究范围延伸到社区外围时,空间网络结构就会趋向于复杂化,导致各参数值的差异不明显,从而无法对结构特征作出准确的判断。因此,SNA在分析社区内部与外部公共空间之间的网络结构时,还需结合其他方法进行综合研究。
致谢:感谢硕士研究生李晓晨、吴丽萍、宋玉康、储程等参与本社区调查。

The authors have declared that no competing interests exist.

1
白皓文, 吕晓蓓. 2014. 城市设计方法的在乡村居住空间形态设计中的应用: 农村集中社区空间改良设计的一次探索[J]. 城市建筑, (10): 64-67.

[Bai H W, Lv X B.2014. Application of urban design methods in rural residential space design: An exploration on the design for spatial improvement of rural collective community[J]. Urbanism and Architecture, (10): 64-67.]

2
陈秀琼, 黄福才. 2006. 基于社会网络理论的旅游系统空间结构优化研究[J]. 地理与地理信息科学, 22(5): 75-80.基于交通网络和旅游资源禀赋的旅游系统空间结构研究具有一定欠缺性。借鉴Shih研究成果,基于旅游者行走游线和旅游流量,分析社会网络理论的程度中心性、接近中心性和中介中心性3个指标作为衡量区域旅游进出通道和中心性、可进入性和旅游集散中心的意义,将目的地划分为区域旅游核心区、缓冲区和边缘区,并对区域旅游分工和设施配备要求提供理论指导。旅游核心区应配备旅游中心、信息中心和口岸交通设施,旅游缓冲区应加强旅游景区建设,旅游边缘区在加强景区建设的同时还应强化宣传工作。探讨旅游系统空间结构的影响因素及其优化措施,并对福建进行实证研究。

DOI

[Chen X Q, Huang F C.2006. Research on tourism spatial structure and its optimization: A network analysis[J]. Geography and Geo-Information Science, 22(5): 75-80.]

3
陈竹, 叶珉. 2009. 西方城市公共空间理论: 探索全面的公共空间理念[J]. 城市规划, 33(6): 59-65.

[Chen Z, Ye M.2009. Western theories on urban public space: An exploration for a comprehensive definition[J]. City Planning Review, 33(6): 59-65.]

4
邓肯·J·瓦茨. 2011. 六度分隔: 一个相互连接的时代的科学[M]. 陈禹, 译. 北京: 中国人民大学出版社.

Watts D J. 2011. Six Degrees: The science of a connected age[M]. Chen Y, Trans. Beijing, China: China Renmin University Press.

5
段进, 季松, 王海宁. 2002. 城镇空间解析: 太湖流域古镇空间结构与形态[M]. 北京: 中国建筑工业出版社.

Duan J, Ji S, Wang H N. 2002. Chengzhen kongjian jiexi: Taihu liuyu guzhen kongjian jiegou yu xingtai[M]. Beijing, China: China Building Industry Press.

6
苟爱萍, 王江波. 2011. 基于SD法的街道空间活力评价研究[J]. 规划师, 27(10): 102-106.在交通功能至上的思想影响下,街道建设过于强调交通功能,而忽视 社会功能,导致街道逐渐丧失了其作为公共空间本该具有的活力.运用SD法,选取南京市区的9条街道,从人的感知情况出发对街道空间活力进行评价,结果表 明,功能多样性、环境舒适度和交通可达性是街道富有活力的重要保证.在进行街道规划设计时,应结合居民的多样化需求,设置不同类型的广场和商业设施,使街 道具有多样化的功能,同时提高交通的可达性和街道环境的舒适度,以积聚人气,使街道更具有活力.

DOI

[Gou A P, Wang J B.2011. Method SD based street space vitality evaluation[J]. Planners, 27(10): 102-106.]

7
何正强, 何镜堂, 陈晓虹. 2014. 网络思维下的社区公共空间: 广州市越秀区解放中路社区公共空间有效性分析[J]. 新建筑, (4): 102-106.

[He Z Q, He J T, Chen X H.2014. Community public space in the context of network thinking: Analysis of the effectiveness of public space in Jiefangzhong Road Community, Yuexiu District, Guangzhou[J]. New Architecture, (4): 102-106.]

8
侯均生. 2006. 西方社会学理论教程[M]. 天津: 南开大学出版社.

Hou J S. 2006. Xifang shehuixue lilun jiaocheng[M]. Tianjin, China: Nankai University Press.

9
侯赟慧, 刘志彪, 岳中刚. 2009. 长三角区域经济一体化进程的社会网络分析[J]. 中国软科学, (12): 90-101.对城市间经济关系的准确判断和度量能了解区域经济结构,对区域经济结构的深度分析能了解区域的一体化状况.本文借鉴引力模型思想,修正后计算出长三角城市群16个中心城市间的经济联系值,采用社会网络分析方法对长三角城市群的经济结构进行了分析.结果发现目前长三角区域经济一体化程度并不高,但有向一体化发展的趋势.Abstract:Determining accurately economic relations among cities would understand the regional economic structure, and analyzing deeply the regional economic structure would understand the status of economic integration. In this paper, the author calculates the value of economic relations among cities drawn on the idea modified gravity model, and analyses the economic structure using social network analysis method. The result shows that the degree of economic integration in the Yangtze River Delta is not high, but there is the development trend of integration.

[Hou Y H, Liu Z B, Yue Z G.2009. Social network analysis over the process of economic integration in the Yangtze River Delta[J]. China Soft Science, (12): 90-101.]

10
江海燕, 周春山, 肖荣波. 2010. 广州公园绿地的空间差异及社会公平研究[J]. 城市规划, 34(4): 43-48.采用GIS网络分析与缓冲分析方法,研究广州公园绿地客观服务水 平在街道尺度的空间差异特征和社会公平性.结果表明:公园绿地各类别及总体服务水平均较低且差异显著,其高覆盖区主要分布在旧城区的街道,服务盲区主要分 布在天河、白云和黄埔等次新区以及海珠区的街道.进一步结合街道人口的社会经济地位(SES)研究得到:SES越高,公园服务水平越高.根据研究结果,提 出政府在公园绿地的规划和管理上应从更新评价指标体系和方法,改善公园可达条件、建立统一统计和管理考核体系及利用税收杠杆等措施提高绿地供给的效率和公 平.

[Jiang H Y, Zhou C S, Xiao R B.2010. Spatial differentiation and social equity of public parks in Guangzhou[J]. City Planning Review, 34(4): 43-48.]

11
黎勇, 胡延庆, 张晶, 等. 2010. 空间网络综述[J]. 复杂系统与复杂性科学, 7(2): 145-164.

[Li Y, Hu Y Q, Zhang J, et al.2010. Review on spatial networks[J]. Complex Systems and Complexity Science, 7(2): 145-164.]

12
李林艳. 2004. 社会空间的另一种想象: 社会网络分析的结构视野[J]. 社会学研究, (3): 64-75.

[Li L Y.2004. Shehui kongjian de lingyizhong xiangxiang: Shehui wangluo fenxifa de jiegou shiye[J]. Sociological Research, (3): 64-75.]

13
李平华, 陆玉麒. 2005. 可达性研究的回顾与展望[J]. 地理科学进展, 24(3): 69-78.可达性是指利用一种特定的交通系统从某一给定区位到达活动地点的便利程度。可达性反映了区域与其他有关地区相接触进行社会经济和技术交流的机会与潜力。本文综合了可达性的主要定量评价方法,并对各种方法的优缺点进行了比较,总结了近期可达性评价方法的进展与动态。随后分别在区域和国家尺度与城市内部尺度上总结了可达性在区域经济发展研究、城市土地利用、社会服务设施提供、城市社会问题等各方面的应用。相对来讲,国内关于可达性的研究尚不丰富。最后,本文阐述了目前可达性研究中的问题,并对未来研究进行了展望。

DOI

[Li P H, Lu Y Q.2005. Review and prospectation of accessibility research[J]. Progress in Geography, 24(3): 69-78.]

14
李晴. 2011. 基于“第三场所”理论的居住小区空间组织研究[J]. 城市规划学刊, (1): 105-111.第三场所是具有积极社会性意义的社区公共空间,以第三场所理论为基础,从居住小区的基础理论"邻里单位"、城市居住区规划设计规范和小区案例3个层面,分析社区公共空间的可达性、社区设施的多样性以及居民的参与互动性,探讨基于社会性内涵的居住小区空间组织模式.

[Li Q.2011. A research of neighborhood unit planning based on the theory of the third place[J]. Urban Planning Forum, (1): 105-111.]

15
李晴. 2014. 具有社会凝聚力导向的住区公共空间特性研究: 以上海创智坊和曹杨一村为例[J]. 城市规划学刊, (4): 88-97.

[Li Q.2014. A study on the properties of the public space with the orientation of social cohesion in residential area: Two cases of Chuangzhifang and Caoyangyicun in Shanghai[J]. Urban Planning Forum, (4): 88-97.]

16
李心. 2015. 城镇化进程中农民集中安置社区公共服务水平评价及提升研究[D]. 成都: 西南石油大学.

Li X. 2015. Chengzhenhua jincheng zhong nongmin jizhong anzhi shequ gonggong fuwu shuiping pingjia ji tisheng yanjiu[D]. Chengdu, China: Southwest Petroleum University.

17
刘军. 2014. 整体网分析讲义: UCINET软件实用指南[M]. 2版. 上海: 上海人民出版社.

Liu J. 2014. Lectures on whole network approach: A practical guide to UCINET[M]. 2nd ed. Shanghai, China: Shanghai People’s Press.

18
卢璐, 许远旺. 2012. 建构认同: 新型农村社区建设与社区意识的生长[J]. 学习与实践, (4): 90-94.建构认同是新型农村社区建设题中应有之义。近代以来,现代性外力的形塑不仅加速了乡村的衰败,而且导致乡村社区认同日趋式微。重建乡村社区认同是新时期农村社区建设的重要目标和价值旨归,必须整合社区资源,完善社区功能,增强社区的吸引力和归属感;再造社区公共空间和符号资本,强化人们对社区的文化和心理认同;发挥社区成员主人翁意识,大力开展社区参与和志愿服务活动,发扬光大社区公共精神。

[Lu L, Xu Y W.2012. Goujian rentong: Xinxing nongcun shequ jianshe yu shequ yishi de shengzhang[J]. Study and Practice, (4): 90-94.]

19
梅策迎. 2008. 珠江三角洲传统聚落公共空间体系特征及意义探析: 以明清顺德古镇为例[J]. 规划师, 24(8): 84-88.

[Mei C Y.2008. The character and meaning of public space in the traditional villages of the Pearl River Delta: A case study of the Shunde Ancient Town in the Ming and Qing Dynasties[J]. Planners, 24(8): 84-88.]

20
斯特凡纳·托内拉. 2009. 城市公共空间社会学[J]. 黄春晓, 陈烨, 译. 国际城市规划, 24(4): 40-45.通过对法国和美国多种城市空间街道、大型购物中心、车站、咖啡馆、广场和花园等进行简要评述,提出了当前公共空间的设计者和研究者面临的两个主要问题:如何构建能够面向所有人开放的空间;且该空间可以培养彼此分享的意识,促进地方公共领域的产生。

DOI

[Tonnelat S.2009. The sociology of urban public spaces[J]. Huang C X, Chen Y, Trans. Urban Planning International, 24(4): 40-45.]

21
孙施文. 2007. 公共空间的嵌入与空间模式的翻转: 上海“新天地”的规划评论[J]. 城市规划, 31(8): 80-87.

[Sun S W.2007. Embedding and subversion of urban space pattern: A planning review of “Xintiandi” in Shanghai[J]. City Planning Review, 31(8): 80-87.]

22
王勇, 李广斌. 2011. 苏南乡村聚落功能三次转型及其空间形态重构: 以苏州为例[J]. 城市规划, 35(7): 54-60.

[Wang Y, Li G B.2011. Functional transformation and spatial restructuring of rural settlements in Southern Jiangsu: A case study of Suzhou[J]. City Planning Review, 35(7): 54-60.]

23
王勇, 李广斌. 2014. 裂变与再生: 苏南乡村公共空间转型研究[J]. 城市发展研究, 21(7): 112-118.从"空间—社会—制度"辩证互动的视角,将乡村公共空间嵌入到具体化的社会制度变迁场景之中,通过苏南乡村社会及其重大制度变迁的历时性追踪,对苏南乡村公共空间转型及其机制给予较为系统的诠释。发现,从全能政治背景下的政治性乡村公共空间植入,到国家权力抽离后自主性乡村公共空间的修复,到市场侵蚀下的乡村公共空间的衰败,再到新农村建设下的乡村公共空间重构,苏南乡村公共空间出现了数次翻转,其转型动力呈现出"政治植入→乡村自主→市场建构→行政主导"的变化。最后,作者指出,任何单向度力量都难以解决乡村公共空间的有效供给问题,寻找一条多方力量有机对接的机制是解决问题的根本之道。

DOI

[Wang Y, Li G B.2014. Fission and regeneration: The transformation of rural public space and its mechanism in Southern Jiangsu[J]. Urban Development Studies, 21(7): 112-118.]

24
肖扬, Chiaradia A, 宋小冬. 2014. 空间句法在城市规划中应用的局限性及改善和扩展途径[J]. 城市规划学刊, (5): 32-38.空间句法是一种在建筑领域认可度比较高的定量研究方法。近来得到城市规划领域关注,并广泛应用于城市规划理论和实践的探索。然而国外地理学空间分析领域对空间句法理论方法在城市规划中的应用一直存在争议。但随着近年来理论自身的不断修正和其他学科的不断扩展,增强了空间句法理论方法在城市规划应用的适应性。现着重从地理空间分析的视角讨论空间句法在城市规划中应用的局限性,同时回顾空间句法方法自身的近期发展,以及地理空间分析领域对其方法的扩充和发展。

DOI

[Xiao Y, Chiaradia A, Song X D.2014. A discussions on implementing space syntax method in urban planning[J]. Urban Planning Forum, (5): 32-38.]

25
杨保军. 2006. 城市公共空间的失落与新生[J]. 城市规划学刊, (6): 9-15.从考察日常生活出发,论述城市公共空间失落的状况,批判规划设计中出现的若干不良倾向;分析公共空间失落的根源;通过圣保罗和巴塞罗那两个城市案例的解析,阐明公共空间的作用;提倡向哥本哈根学习,让城市公共空间获得新生.

[Yang B J.2006. The loss and revival of urban space[J]. Urban Planning Forum, (6): 9-15.]

26
叶继红. 2012. 集中居住区移民社会网络的变迁与重构[J]. 社会科学, (11): 67-75.农民集中居住不仅是一个迁移和空间聚集的过程,更是一个社会重组 的过程.在这一过程中,必然伴随着移民社会关系网络在新居住地的重构.问卷调查显示,超过六成的被调查者在集中居住后社会网络变大,移民的业缘关系得到一 定发展.但集中居住方式同时也造成了移民社会交往的空间隔离、集中居住区邻里关系淡化等问题.为此,需要扩大社区公共空间,拓展移民与市民的社交网络,开 展各种社区特色活动,构建社区支持系统以及建立面向新移民的专业社会工作体系.

DOI

[Ye J H.2012. The transition and reconstruction of social network on immigrants in farmers’ concentrated residence community[J]. Journal of Social Science, (11): 67-75.]

27
约翰·斯科特. 2007. 社会网络分析法[M]. 刘军, 译, 重庆: 重庆大学出版社.

Scott J. 2007. Social network analysis[M]. Liu J, Trans. Chongqing, China: Chongqing University Press.

28
甄峰, 王波, 陈映雪. 2012. 基于网络社会空间的中国城市网络特征: 以新浪微博为例[J]. 地理学报, 67(8): 1031-1043.信息技术影响下的城市区域空间结构变化得到了国内外学者的关注。本文以新浪微博为例, 从网络社会空间的角度入手, 对中国城市网络发展特征进行了研究。研究表明:微博社会空间视角下的中国城市网络存在着明显的等级关系与层级区分, 城市的网络连接度与城市等级表现出了相对一致性。根据城市网络层级与网络联系强度, 东部、中部、西部3 大区域板块的网络联系差异明显, 东部地区内部的联系, 以及东部与中部地区和西部地区的联系几乎构成当前网络体系中的全部。城市网络呈现出分层集聚现象, 具体表现为“三大四小”发展格局, 即京津冀区域、珠三角区域、长三角区域、成渝地区、海西地区、武汉地区、东北地区。高等级城市在整个城市网络中处于绝对支配地位, 北京以突出的优势成为全国性的网络联系中心, 而上海、广州、深圳则成为全国性的网络联系副中心。

DOI

[Zhen F, Wang B, Chen Y X.2012. China’s city network characteristics based on social network space: An empirical analysis of Sina micro-blog[J]. Acta Geographica Sinica, 67(8): 1031-1043.]

29
Bonilla M H.2012. The (re)construction of public space in today’s Mexican City[J]. International Journal of Architectural Research, 6(2): 65-78.

30
Clark A, Holland C, Katz J, et al.2009. Learning to see: Lessons from a participatory observation research project in public spaces[J]. International Journal of Social Research Methodology, 12(4): 345-360.ABSTRACT This article outlines the development and implementation of participatory research methodology centred on observational techniques. It discusses theoretical understandings of the methodology and how it works in practice. The research explored the use of public spaces by different social, ethnic and activity groups across the course of a 12-month period, drawing on the experiences of, and data collected by local non-academic researchers who were trained in a nonparticipatory semi-structured observation method. The article discusses how this method was developed and implemented and considers some of the issues around how participatory research works in practice.

DOI

31
Francis J, Giles-Corti B, Wood L, et al.2012. Creating sense of community: The role of public space[J]. Journal of Environmental Psychology, 32(4): 401-409.A strong sense of community has been associated with improved wellbeing, increased feelings of safety and security, participation in community affairs and civic responsibility. Although interest in how the broader built environment influences sense of community is gaining momentum, there is a dearth of empirical research examining the association between sense of community and the quality of public space. This study investigates the relationship between four public spaces – Public Open Space (POS), community centres, schools and shops – and sense of community in residents of new housing developments in the Perth metropolitan area, Western Australia. Data was obtained from a cross-sectional survey ( n =911), a POS audit, and Geographical Information Systems, and analysed using linear regression. The perceived quality of neighbourhood POS and shops was significantly and positively associated with sense of community. This relationship appears to be unaffected by how frequently people use these spaces. High quality public spaces may be important settings for enhancing sense of community within residents of new housing developments.

DOI

32
Jia Y C, Zheng C.2015. Rethinking urban green space accessibility: Evaluating and optimizing public transportation system through social network analysis in megacities[J]. Landscape and Urban Planning, 143: 150-159.

33
Jiang B, Claramunt C.2004. Topological analysis of urban street networks[J]. Environment and Planning: Planning and Design, 31(1): 151-162.CiteSeerX - Scientific documents that cite the following paper: Topological Analysis of Urban Street Networks

DOI

34
Ling G H T, Ho C S, Ali H M.2014. Diverse property-rights structure impacts on urban-rural Public Open Space(POS) governance: Sabah, Malaysia[J]. Procedia-Social and Behavioral Sciences, 153: 616-628.Minusculediscussion of research on institutional property-rights structurehasrudimentarilydetermined the POS governance (usage and management) and its quality. Thus, two objectives are highlighted; (i) to examine Sabah's current practice in urban-rural POS governance and (ii) explore the POS' social dilemma that tied in with such institution. Reviews of interdisciplinary analytic perspectives,case study, documentsand content analysis on semi-structured interviews (governmental opinions)were performed. The practicewith diverse rights structureis perceived as property-rights tragedy by virtue of numerous predicaments, which ensue in sub-optimal POS and quality of life issues. Therefore, re-engineering of urban-rural POS market via dynamic property rights re-assignment and contractual governance are postulated as the panaceato internalise the externalities for improved life quality.

DOI

35
Németh J, Schmidt S.2011. The privatization of public space: Modeling and measuring publicness[J]. Environment and Planning B: Planning and Design, 38(1): 5-23.Privately owned public spaces are frequently criticized for diminishing the publicness of public space by restricting social interaction, constraining individual liberties, and excluding undesirable populations. This study empirically determines whether, as is commonly believed, privately owned public spaces are more controlled than publicly owned spaces. To frame our empirical work, we propose a conceptual model that identifies publicness as the interaction between the ownership, management, and uses/users of a space. We then examine the management dimension using an observation-based index to assess spatial management paradigms in publicly and privately owned spaces. We find that the use of the private sector to provide publicly accessible space leads to increased control over use, behavior, and access. Furthermore, while both publicly and privately owned public spaces tend equally to encourage public use and access, managers of privately owned spaces tend to employ more features that control behavior within those spaces. More specifically, spatial control in privately owned spaces is normally achieved through the use of surveillance and policing techniques as well as design measures that 'ode' spaces as private. Important findings are presented for planners, policy makers, and others concerned with the future of publicly accessible spaces.

DOI

36
Pasaogullari N, Doratli N.2004. Measuring accessibility and utilization of public spaces in Famagusta[J]. Cities, 21(3): 225-232.AbstractPublic spaces have a central role, both physically and functionally, in urban planning and development. Many urban theorists state their significant role as one of the principal components of a healthy urban setting. This is in addition to their functional role, when they increase a sense of community when intensive social interaction takes place in these areas. However, recently, they have started to lose significance, when they are neglected in the urban planning process, or when existing spaces are lost. Additionally, accessibility and utilization of these areas decreases, since public spaces are neglected in urban planning and development processes. In this study, public spaces are assessed in terms of accessibility and utilization, regarding the effects of rapid urban growth on their physical and functional structure. This study first evaluates the significance of public spaces in an urban setting; second, determines the variables effective in terms of their accessibility and utilization; third, assesses the factors affecting the accessibility and utilization of public spaces through a questionnaire survey on the role of public spaces in social interaction, and concludes with an evaluation of the results and suggestions for further research.

DOI

37
Varna G, Tiesdell S.2010. Assessing the publicness of public space: The star model of publicness[J]. Journal of Urban Design, 15(4): 575-598.This paper presents a model of, and method for benchmarking, the publicness of public space—termed here as the Star Model. The model is intended to be of value for comparative purposes (i.e. measuring the publicness of one place vis-à-vis another); as an analytic measure of publicness to be compared with more subjective interpretations of publicness; and as a departure point for deeper investigations of why particular places are more/less public than they could/should be. The paper is in four main parts. The first part discusses and then conceptualizes the nature of ‘public’ space. The second considers publicness as a multi-dimensional concept, identifying and discussing five meta dimensions—ownership; control; civility; physical configuration; and animation. The third explains the model and the integration of these dimensions into a pictorial representation of a place's publicness. The final part discusses the model's value and suggests avenues for further development and research.

DOI

文章导航

/